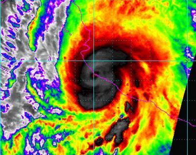
El ojo del huracán acaba de tocar hace unos cuantos minutos en las inmediaciones de Emiliano Zapata” , Jalisco, dijo a la emisora Milenio Roberto Ramírez, director general de la Comisión Nacional del Agua (Conagua) .
Según el Centro Nacional de Huracanes de Estados Unidos (CNH) , el ojo del fenómeno ya se localizaba en tierra a las 18:15 local (23:15 GMT) y se mantiene en categoría 5, la mayor de la escala Saffir Simpson, con vientos sostenidos de 270 km/h.
Antes de tocar tierra, Patricia registró vientos sostenidos de 325km/h, el mayor huracán registrado en la historia, superando al tifón Haiyan que devastó a Filipinas en noviembre de 2013.
“Huracán Patricia ya está en la costa de México. No salgan. Protéjanse y sigan indicaciones de Protección Civil. Estoy al pendiente” , escribió el presidente Enrique Peña Nieto en su cuenta de Twitter.
El gobierno mexicano se ha declarado en emergencia ante la llegada del ciclón, que atravesará una zona donde se estiman hay unas 400.000 personas.
Se ha ordenado el desalojo de pequeñas poblaciones costeras, el cierre de puertos de varios estados, cortes preventivos de energía eléctrica, la suspensión de clases en zonas de riesgo y la evacuación de numerosos turistas.
