“El estacionamiento tiene 38 metros de ancho por 150 m. de largo, en ese lugar en este momento se encuentra el invernadero de 400 metros cuadrados, que será destinado al proyecto del 2015 que apoya la Misión Técnica de China (Taiwán), donde se producirán flores”.
La experta en suelos explicó que “el terreno tiene curvas de nivel, tres escalones, el primero arriba está libre y ahí se tiene previsto construir el mercado de flores, luego está el caminero y el segundo escalón, donde tenemos cultivos de abonos verdes para mejorar el suelo. Allí se cultivan rosas y flores de corte.
En el tercer escalón, la tercera terraza posee crisantemos y frutales como bananas de variedades y cultivos de plantas bulbosas”. Según la ingeniera Centurión, “un caminero va a las oficinas y después en la parte colindante con el Centro de Formación Profesional de Avanzada tenemos plantas ornamentales de hojas tropicales”. La entrada principal es al costado de la ruta Mariscal Estigarribia.
“El estacionamiento nos va a dejar apretados y al fondo, es allí donde teníamos programada la construcción del mercado nacional de flores con la ayuda de la Embajada de Taiwán, donde se tendrían parcelas de muchas especies de flores. Queremos que sea un centro escuela para productores y estudiantes de la Facultad de Agronomía y los colegios”.
El acta de acuerdo
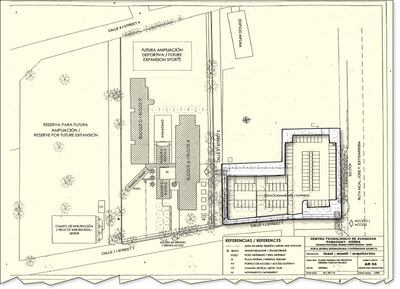
El acta de acuerdo entre el Servicio Nacional de Promoción Profesional (SNPP) y el Ministerio de Agricultura y Ganadería (MAG) firmada por la arquitecta Jazmín Salazar Yaryes, del Departamento de Mantenimiento, Obras y equipos, y el Ingeniero agrónomo Cornelio Núñez Zacarías, director de Extensión Agraria (Deag), se realizó el 28 de febrero pasado en San Lorenzo, con el fin de delimitar el espacio cedido al Servicio Nacional de Promoción Profesional para la construcción del estacionamiento del futuro Centro de Formación Profesional Avanzada.
“El documento se firmó con base en lo acordado en la reunión mantenida en las oficinas del Ministerio de Agricultura y Ganadería, el 25 de febrero de 2014, entre el ingeniero agrónomo Jorge Gattini, ministro de Agricultura y Ganadería, y el doctor Guillermo Sosa, director general del Servicio Nacional de Promoción Profesional, para definir la zona del estacionamiento a ser cedida sobre la ruta Mariscal Estigarribia y en la que se acordó dejar un área de 1.062 metros cuadrados, libres y disponibles, para la Misión Técnica de Taiwán, según se indica en el plano que se adjunta y forma parte de esta acta de acuerdo”.
Los ingenieros agrónomos no se oponen a la construcción del Centro de Formación, lo que objetan es la ubicación del estacionamiento que perjudicará a su proyecto de producción de flores.
Una obra de 6 millones de dólares
Rodrigo Estigarribia, director académico del proyecto del SNPP, afirmó que “actualmente estamos llevando a cabo junto con el Gobierno de Corea, a través de la Koica, un proyecto para la construcción de un Centro Tecnológico en la ciudad de San Lorenzo, en el cual se realizará una inversión de US$ 5 millones por parte del Gobierno coreano y US$ 1 millón por parte de la institución; el cual contará con tres áreas de especializaciones: TIC, Diseño de Modas y Mecatrónica”. Según comentó el encargado académico, “el proyecto se encuentra en la etapa de construcción, la cual comenzó en el mes de noviembre de 2013 y así como el llamado a concurso para los futuros instructores con quienes estamos trabajando en las mallas curriculares, manuales y guías durante el periodo de construcción, además una capacitación de tres meses en Seúl, Corea”.
