Florida en vilo cruza los dedos para que Dorian se aleje

Este artículo tiene 6 años de antigüedad
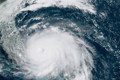
Vista satelital del huracán Dorian sobre las Bahamas.
Vista satelital del huracán Dorian sobre las Bahamas.NOAA/NESDIS/STAR GOES HANDOUT

MIAMI. Florida sigue en vilo el rumbo del huracán Dorian, que aún asuela las cercanas islas del norte de Bahamas, con la esperanza de que vire al norte cuanto antes, pues de ello depende que toque tierra, lo que significará muchos más daños, o se mantenga en alta mar en paralelo a la costa del sureste de EE.UU.

La mayoría de los patrones de trayectoria sitúan a Dorian alejado del litoral, aunque el Centro Nacional de Huracanes (NHC) de EE.UU. asegura que también es posible que se mueva “muy cerca o sobre la costa”, por lo que pide a la gente que no tome como cien por cien seguras las proyecciones.

El gobernador del estado, Ron DeSantis, dijo que cuando y como llegue el momento en el que vire de rumbo es “crítico” para las posibilidades de que impacte en la costa este de Florida el segundo huracán más poderoso en el Atlántico desde que se tienen registros.

La buena noticia de este lunes es que la fuerza de los vientos de Dorian ha pasado a ser de categoría 4, un peldaño más abajo en la escala de Saffir-Simpson que en el que estaba cuando llegó a Bahamas el domingo 1 de septiembre.

Los residentes de la costa este de Florida deben permanecer “vigilantes”, pues estará en todo caso muy cerca de la costa y el estado sufrirá su “impacto de una forma u otra”, advirtió el gobernador.

“Esta noche tendremos una idea de su movimiento”, dijo el gobernador sobre un ciclón cada vez más cerca de Florida.

Actualmente se encuentra a unas 100 millas (160 km) al este de la ciudad de West Palm Beach.

Lea más: “Catastrófico” huracán Dorian azota las Bahamas y EE.UU. evacua la costa

Dorian podría dejar un rastro de desolación en esta área, pues se espera que mantenga durante los próximos días vientos cercanos a las 150 millas por hora (240 km/h), un aumento del nivel del mar hasta 7 pies (2,1 metros) sobre la marea habitual y acumulaciones de lluvia de hasta 10 pulgadas (25 centímetros).

La Guardia Nacional de Florida ha activado más de 4.000 efectivos de tierra y aire equipados con vehículos especiales para desplazarse en zonas inundadas, helicópteros, botes y generadores.

Su misión es participar en la distribución de ayuda humanitaria y en operaciones de seguridad, búsqueda y rescate, entre otras tareas, en caso de ser necesario.

El viento azota a la costa estadounidense en Vero Beach, Florida.
El viento azota a la costa estadounidense en Vero Beach, Florida.

Al menos en 14 condados de la costa este de Florida rigen desde este lunes órdenes de evacuación obligatoria o voluntaria para los habitantes de zonas bajas e inundables, quienes viven en casas móviles o en primera línea de costa, personas con necesidad de atención médica y las residentes en las llamadas “islas barrera”.

Esas islas están situadas muy cerca del territorio continental de Florida como una barrera entre el mar abierto y la costa, como es el caso de Palm Beach, donde se encuentra el club privado Mar-a-Lago, propiedad del presidente de Estados Unidos, Donald Trump.

DeSantis, quien habló este lunes con Trump, dijo que el presidente le ha prometido toda la ayuda necesaria para superar la posible catástrofe.

Los aeropuertos internacionales de Miami y de Orlando, los que más movimiento tienen en Florida, permanecen activos, el de West Palm Beach cerró y el de Fort Lauderdale lo hará a partir del mediodía.

En la web de estos dos últimos aeropuertos del sur de Florida se advierte al público de que sus instalaciones no son “refugios” y se les informa de que en caso de que deban abandonar sus viviendas deberían acudir a los lugares habilitados como tales.

Lea más: Compatriota relata cómo se preparan para recibir al huracán Dorian

Cinco puertos del estado han sido cerrados por el posible embate de las fuertes olas: Miami, Everglades, Fort Pierce, Palm Beach y Puerto Cañaveral, y se espera que en las próximas horas pudieran hacer lo propio los de Fernandina y Jacksonville, en el norte del estado, informó DeSantis.

El gobernador indicó en la misma conferencia de prensa que 72 hogares de ancianos fueron evacuados, al tiempo que varios hospitales situados en la misma costa este ya comenzaron o ultiman los planes para hacerlo.

Mientras, la Casa Blanca informó de que Trump aprobó una declaración de emergencia para Georgia y Carolina del Sur para facilitar los preparativos para la llegada de Dorian, que podría estar frente a sus costas el próximo miércoles o jueves.

Dorian llegó a generar vientos máximos sostenidos de 185 millas por hora (295 km/h) , lo que le sitúa como el segundo más poderoso en el Atlántico junto con el llamado “Labor Day” (1935), Gilbert (1988) y Wilma (2005) y solo superado por Allen, que en 1980 registró 190 millas por hora (305 km/h).

Esa es la fuerza que han tenido que sufrir y siguen haciéndolo las islas más septentrionales del archipiélago de Bahamas, cuyo primer ministro, Hubert Minnis, dijo en su cuenta de Twitter que la “devastación no tiene precedentes”.

Según el último boletín del NHC, emitido a las 11:00 hora local (15:00 GMT), Dorian ha reducido ligeramente la intensidad de sus vientos a 155 millas por hora (250 km/h), lo que significa que ya no es de categoría 5, la máxima, sino de 4.

Mantiene su rumbo oeste a solo una milla por hora (2 km/h), por lo que no termina de pasar por encima de Bahamas, donde sigue causando estragos.

Además de sufrir daños personales o materiales, lo que más teme un floridano cuando un huracán se presenta es quedarse sin electricidad, porque significa no comer caliente y no tener aire acondicionado, además de no poder ver la televisión ni usar otros aparatos electrónicos.

La compañía Florida Power and Light (FPL) , una de las mayores de las que operan en el estado, tiene listos a más de 18.000 operarios, provenientes de 34 estados de EE.UU. y Canadá, para ir restableciendo el servicio una vez que pase el huracán, según sus portavoces.